70 mq
1
In attesa di certificazione

Descrizione

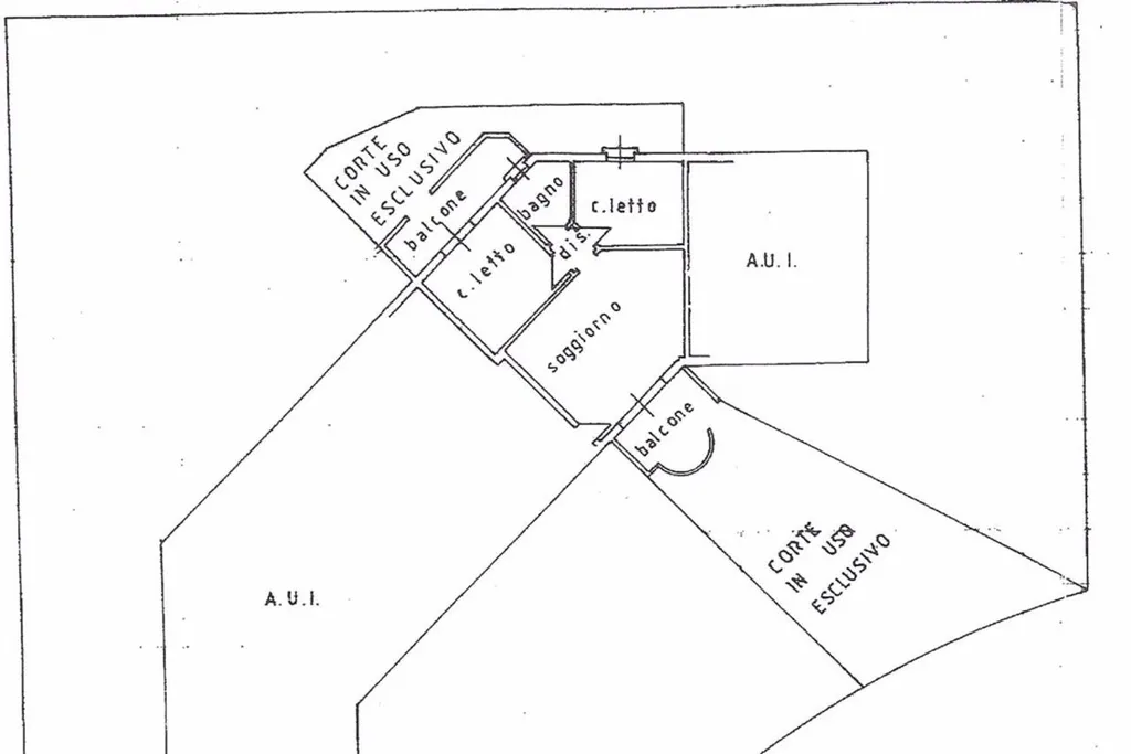
Rif. BRB 590 - Vendiamo a Milano Marittima, a pochi passi dal mare e dalle vetrine del centro, splendido appartamento con due camere in piccolo e grazioso complesso residenziale. L'immobile, posto al piano terra, si compone da un ampio e luminoso soggiorno, affacciato su giardino privato loggiato di circa 90mq, angolo cottura, disimpegno, due camere da letto, entrambe matrimoniali, con ulteriore corte privata e loggia sul retro, e bagno con box doccia. Posto auto nel seminterrato. L'immobile, arredato con gusto moderno, è una piccola bomboniera pronta per essere abitata. Può rappresentare inoltre una fonte di investimento sicuro, rendita garantita sull'affitto stagionale estivo. Rif. 590.

Altre caratteristiche

Stato Immobile
In buone condizioni
Vani
3
Piano
Terra
Tipologia Immobile
Appartamento
Categoria Immobile
Case e Appartamenti
Contatta Agenzia
Proposto da: AGENZIA BARBIERI CERVIA

Quotazioni immobiliari per Genova - Cervia